当前位置:
首页
>
政府信息公开平台
>
市政府工作部门
>
商务局
>
通知公告
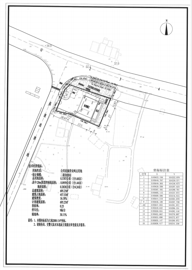
关于杨阁老高速互通口加油站建设用地选址公示
索 引 号:4309810018/2021-1413114
发布机构:沅江市人民政府
发文日期:2021-06-30
信息类别:综合政务
公开范围:全部公开
公开方式:政府网站
扫一扫在手机打开当前页
【打印本页】
【关闭窗口】